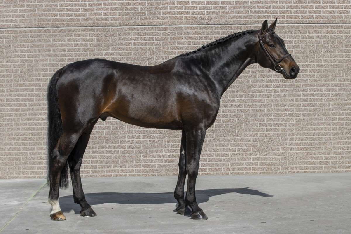
Pégase van't Ruytershof

COMME IL FAUT x CARTANI 4

The electrifying Comme Il Faut son from the legendary Emerald dynasty shaping the future of showjumping breeding.

Discipline Show Jumping
Breed: Warmblood
Stud Book: BWP SWB
Stud: France Etalons
Height: 171cm
Colour: Bay
Year of Birth: 2015
Stud Terms: Split Terms
Stud Fee: £1,117.00
Stud Fee Notes: EU Chilled Import | £849 + VAT refunded upon receipt of a vet declaration to confirm nominated mare is not pregnant.
Pégase van't Ruytershof Stallion

Buy Pégase van't Ruytershof semen

Owner/Agent: Stallion AI Services
Contact: 01948 666295
Email: office@stallionai.com

Note: SAIS is agent for this stallion and the stud fee(s) shown are payable via this website

Semen Type
Stud Fee
Unit
Terms and Conditions
Frozen
£ ex VAT
 Straws per Dose
View and Accept Terms
QTY:
Fresh / Chilled
£ ex VAT
View and Accept Terms
QTY:
No products match your search criteria
Sorry but there is no stock currently available for this delivery country.

Please contact our specialist team on +44 1948 666295 to discuss your options.
This order cannot currently be made on the website.

Please contact us on +44 1948 666295 and our specialist team will process this order on your behalf.

pedigree

Pégase van't Ruytershof
COMME IL FAUT
GIATHINA VAN'T RUYTERSHOF
CORNET OBOLENSKY
RATINA Z
CARTANI 4
DIAMANTHINA VH RUYTERSHOF
CLINTON
RABANNA VAN COSTERVELD
RAMIRO Z
ARGENTINA Z
CARTHARGO Z
TAGGI
DIAMANT DE SEMILLY
CARTHINA Z

Gallery

Biography

Pégase van’t Ruytershof is a Belgian Warmblood stallion born in 2015, combining elite showjumping genetics through Comme Il Faut with one of the most influential modern damlines in the sport. Standing 1.71 m, he is bred from the exceptional Carthina Z family, a dynasty responsible for Olympic and 5★ Grand Prix performers such as Emerald and Le Blue Diamond van’t Ruytershof. Recognised early for his talent, Pégase won the BWP Stallion Licensing as a 3-year-old and later the PAVO Cup for 4-year-old stallions, earning the prestigious BWP Young Stallion Award. He has since progressed into international competition up to 1.45 m level, while rapidly establishing himself as one of the most popular young breeding stallions in Belgium thanks to his modern type, scope and careful jumping technique.

Notable Progeny

Pégase van’t Ruytershof has quickly become a popular sire, with his first offspring already excelling in young horse championships and stallion approvals. Leading Sport Horses Promise vd Bisscop PS Z – placed in CSI Young Horse 1.30 m competitions. Tiara van’t Zonneveld – competitive in CSI Young Horse classes for 6-year-olds. Tapdance de Tiji – CSI Young Horse competitor progressing to 1.20 m. Otis Black – successful in CSI Young Horse 1.25 m classes. Novack de Virton – international 6-year-old CSI Young Horse competitor. Championship & Competition Offspring Tarantion de Rie – winner of the Belgian Cup for 4-year-olds. Taboe van het Molenhof – 5th in the Belgian Cup for 4-year-olds. Tara van het Leliehof – World Champion 6-year-old eventing horse (2025). La Libellule – French Champion for 4-year-olds in 2025.

Videos of Pégase van't Ruytershof

Results for Pégase van't Ruytershof

Winner – BWP Stallion Licensing Champion (3-year-olds). Winner – PAVO Cup Final for 4-year-old stallions. Recipient – BWP Young Stallion Award. 3rd – CSI2★ Grand Prix 1.45 m Courrière. 6th – CSI2★ Grand Prix 1.45 m Bonheiden. 9th – 1.50 m class CSIO3★ Deauville. 6th – Grand Prix 1.40 m Lummen. 9th – CSI2★ Bonheiden ranking class. Placed in 1.45 m CSI classes at Opglabbeek. Over 100 international starts with €16,000+ prize money.